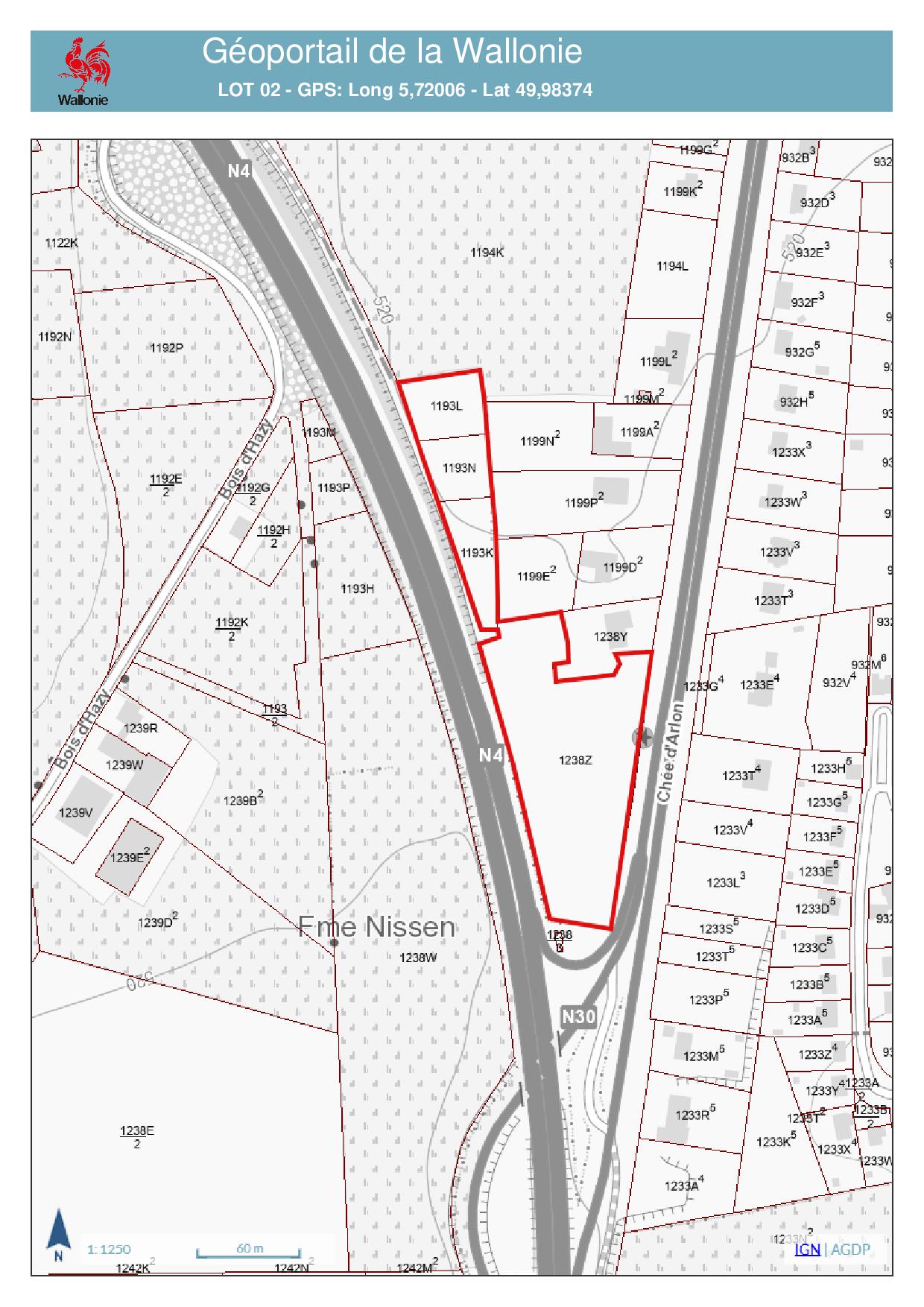
Lot n°02 - B-6600 BASTOGNE, Chaussée d’Arlon (Belgique)
- Date de création :16 janvier 2026
- Date de dernière mise à jour :21 avril 2026
Description
LOT 02
Bastogne, 2 ème Div. Bastogne, Section C, n° 1193 K, 1238 Z, 1193 L, 1193 N
Facilement accessible, lot situé à route, le vendeur déclare que ce lot est libre d’occupation.
RC total non indexé: 71 €
Détails
-
Status:
-
Superficie cadastrée du lot:1 ha 57 ares 35 ca
-
Type de lot:Agricole
-
Essences:
Terre libre d'occupation
-
Complément affectation au plan de secteur / PAG:+/- 95 % en zone d'espaces verts et +/- 5 % en ZACC
-
Natura 2000:Non
-
Type de bail:Non
-
Complément type bail:Pas de bail de chasse ni de bail à ferme
-
Lieu-dit:Au chemin du bois d'Hazy
-
Latitude:49.98374
-
Longitude:5.72006
-
Date limite de dépôt:Samedi 18 Avril 2026
-
Heure limite de dépôt:14H00
-
Adresse de la remise des offres:3, rue du Village à L-8820 Holtz (à proximité de Martelange)
Les ventes sont clôturées






