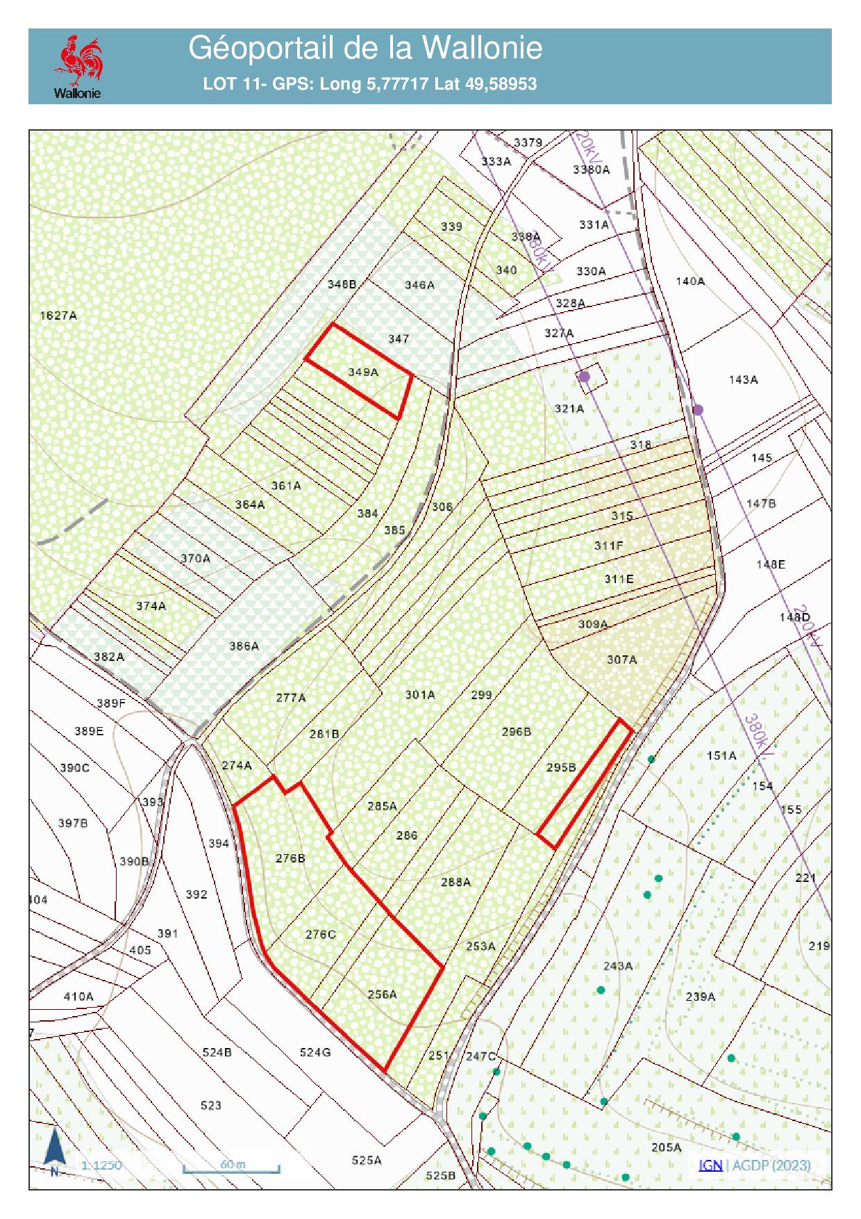
Lot n°11 - B-6792 AUBANGE, Aix-sur-Cloie, Rue de la Comtesse (Belgique)
- Date de création :1 février 2026
- Date de dernière mise à jour :1 février 2026
Description
LOT 11
Aubange, 3 Div. Halanzy, Section B
- 276 B de 0,445 ha
- 276 C de 0,30 ha
- 257 A de 0,08 ha
- 256 A de 0,4040 ha
- 293 de 0,127 ha
- 349 A de 0,189 ha
Lot indivisible composé de plusieurs parcelles forestières boisées
Détails
-
Status:
-
Superficie cadastrée du lot:1 ha 54 ares 50 ca
-
Type de lot:Forestier
-
Essences:
Hêtres, feuillus divers
-
Complément affectation au plan de secteur / PAG:Zone forestière d'intérêts paysager
-
Natura 2000:Non
-
Type de bail:Non
-
Complément type bail:Pas de bail de chasse
-
Lieu-dit:Schelzebusch
-
Latitude:49.58953
-
Longitude:5.77717
-
Date limite de dépôt:Samedi 18 Avril 2026
-
Heure limite de dépôt:14H00
-
Adresse de la remise des offres:3, rue du Village à L-8820 Holtz (à proximité de Martelange)
Offre ferme d'acquérir un bien immobilier en Belgique
Version digitale (formulaire à remplir)
Version papier (fichier PDF à imprimer)
Votre agent immobilier
Charles BROCORENSTél. : +32 477 32 61 45
E-mail : contact@biensruraux.com
Agent immobilier agréé en Belgique sous le N° IPI 504972
N° d’entreprise / TVA: 0429.917.460
Personne de contact anti-blanchiment et RGPD: Charles BROCORENS
Compte PRO: BE36 3630 8134 8381 – Compte de tiers: BE02 3701 2545 5140
Responsabilité civile professionnelle: AXA Belgium SA – police n° 730.390.160.
Soumis au code de déontologie de l’IPI, instance officielle de contrôle: IPI (Institut Professionnel des Agents Immobiliers) – Rue de Luxembourg, 16 B – B 1000 Bruxelles. Tél. : +32 2 505 38 50 – www.ipi.be
Sort et protection des données personnelles :
Les données à caractère personnel communiquées à l’agent immobilier le sont dans le respect du R.G.P.D et des obligations liées à la prévention du blanchiment. Les données communiquées sont destinées à la bonne exécution de la mission confiée et au respect des obligations légales. Dans ce cadre, elles peuvent être transmises aux tiers qui doivent intervenir directement ou indirectement dans le déroulement de la mission (administrations, notaires,…). Les données confiées ne seront en conséquence jamais cédées à d'autres personnes physiques ou morales liées ou pas à l’agent immobilier à des fins étrangères à l’exécution de la mission que ce soit à titre onéreux ou gratuit. La confidentialité des informations est assurée par l’agent immobilier et leur conservation est réalisée pendant les délais légaux requis par toute règlementation à laquelle l’agent immobilier est soumis (préventi on du blanchiment, …). Une fois ces délais dépassés, l’entièreté des données seront détruites.






